USGS Logo

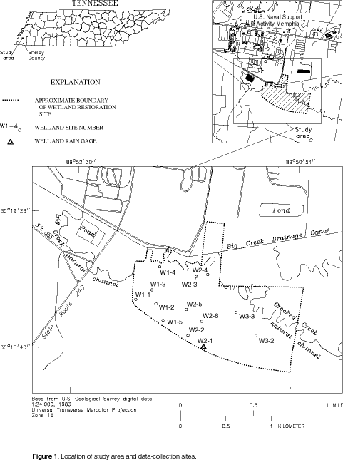
Rainfall and Water-Level Data for a Wetland Area near Millington, Shelby County, Tennessee, October 1996 through September 1997


Figure 1
Printable PDF available

[Return to title page] [Table of Contents]